Classification

  • ClasseInsecta
  • OrdreLepidoptera
  • FamilleGeometridae
  • GenreOperophtera
  • Espècebrumata
  • Nom scientifiqueOperophtera brumata
Données de l'espèce

Cartes, phénologie, nombre de données, etc...

Carte de l'espèce

  • Légende :
  • aucune observation signalée
  • observations validées
  • observations en cours de validation
  • vos observations

Longueur : moins de 10 mm
Envergure : environ 25 mm

Classification

Classe : Insectes
Ordre : Lépidoptères
Famille : Géomètres
Nom scientifique : Operophtera brumata

Morphologie

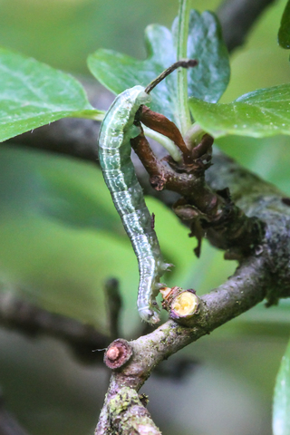
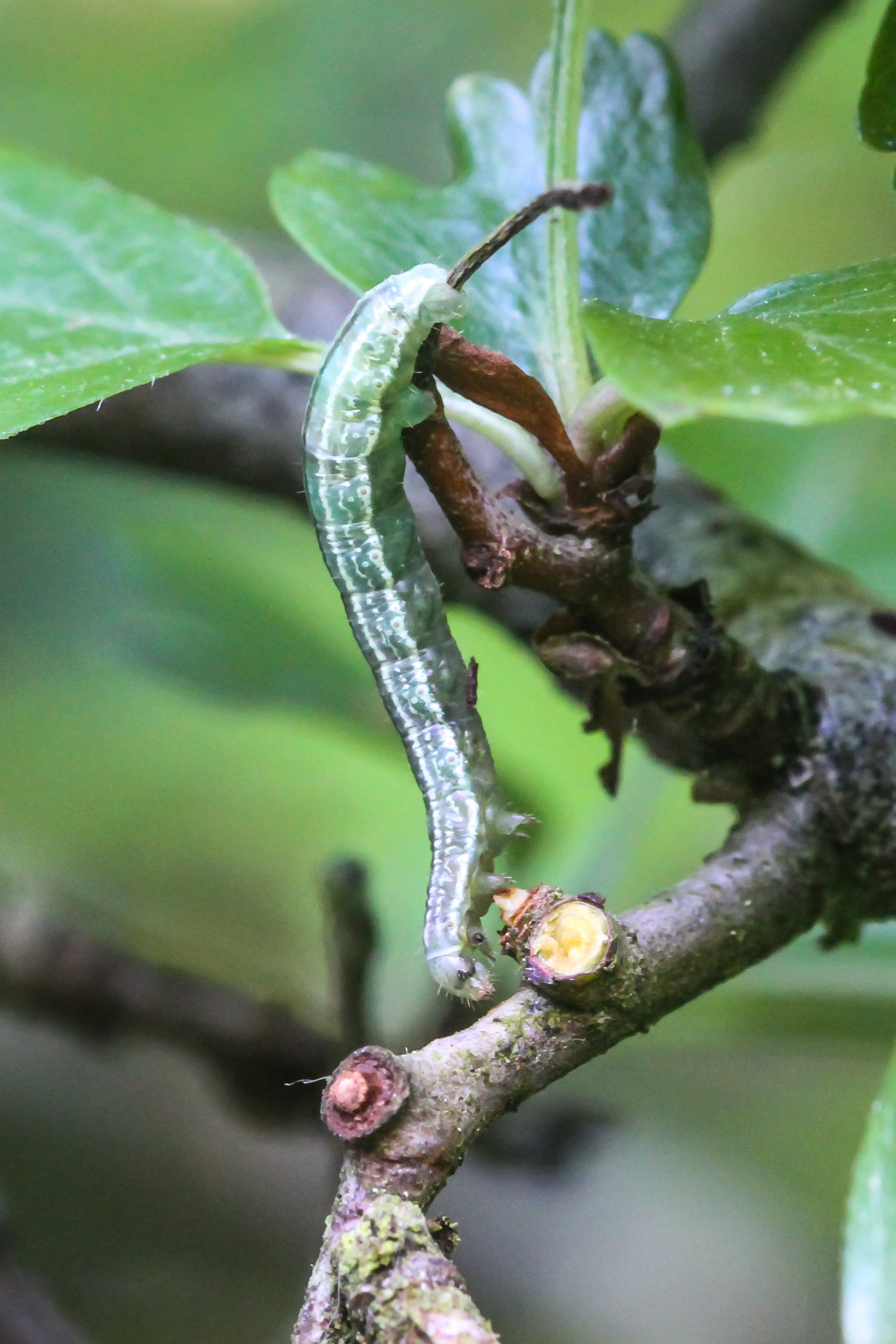
La Phalène brumeuse ressemble à la Cheimatobie du Hêtre mais elle est plus petite. Impossible de confondre les sexes chez cette espèce dont le dimorphisme sexuel est très marqué, les femelles brun foncé ayant des ailes très réduites qui l'empêchent de voler. Les mâles ont des ailes arrondies, les antérieures brunes, les postérieurs plus pâles, chacune ornée de lignes ondulées plus foncées. Les chenilles de la Phalène brumeuse et des Géomètres en général sont appelées « arpenteuses » car, pour se déplacer, elles s'allongent au maximum puis ramènent l'extrémité du corps au contact du thorax. Chez la Phalène brumeuse, les chenilles ont le corps vert lumineux avec des bandes transversales jaune pâle à la limite de chaque segment et des lignes longitudinales blanches. Elles atteignent 20 mm de longueur.

Habitat

La Phalène brumeuse a des mœurs nocturnes, elle affectionne les forêts de feuillus et les bocages, même lorsque le milieu est urbanisé, dans les parcs et jardins. Les mâles volent parfois en nuées dans les sous-bois, pendant que les femelles stationnent en abondance sur les branches. Ce papillon ne vole qu'en hiver, comme son nom le suggère, entre mi-novembre et fin décembre. Quant aux chenilles, visibles en mai-juin, elles se développent sur de nombreuses espèces d'arbres et arbustes.

Reproduction

L'espèce a une génération annuelle et hiverne au stade œuf. Les œufs sont pondus en hiver, les chenilles attendent le retour du printemps pour se développer et se nymphoser, elles se métamorphoseront l’année suivante.

Régime alimentaire

Les chenilles de la Phalène brumeuse s'alimentent de diverses essences de feuillus, telles que le Noisetier, les Pommiers, le Prunellier, les Tilleuls, les Saules etc. Elles se cachent souvent dans un bout de feuille repliée, en bout de rameau. Les adultes ont une courte durée de vie car ils ne s'alimentent pas.

Relation avec l’Homme

Comme tous les papillons, la Phalène brumeuse est sensible à la dégradation de son habitat, mais elle ne bénéficie pas d'un statut de protection particulier. Lors des pullulations (tous les trois-quatre ans), l'espèce peut causer des dommages (réversibles !) dans les vergers et les bois. L’espèce est également sensible aux pesticides et à l'impact négatif de la circulation routière, de l'éclairage des enseignes et bords de routes par des néons ou des lampes à vapeur de mercure. Les facteurs météorologiques extrêmes des dernières années viennent s'ajouter à ces pressions.

Réseau trophique

De même que les autres papillons nocturnes, la Phalène brumeuse entre dans le menu des chauves-souris, des rapaces nocturnes et des oiseaux diurnes, des araignées, elle peut également être parasitée. Les passereaux apprécient les chenilles pour nourrir leurs petits.

Répartition géographique

L'aire de répartition de cette espèce s'étend sur toute l'Europe, vous pouvez l'observer dans les quatre départements bourguignons.

Photothèque Cheimatobie hiémale
Phalène brumeuse (Operophtera brumata)
Phalène brumeuse (Operophtera brumata)
Phalène brumeuse (Operophtera brumata)
Accouplement de Operophtera brumata
Operophtera brumata
Cheimatobie hiémale - Operophtera brumata
Cheimatobie hiémale - Operophtera brumata
La Cheimatobie hiémale - Operophtera brumata
La Cheimatobie hiémale - Operophtera brumata
La Cheimatobie hiémale - Operophtera brumata
La Cheimatobie hiémale - Operophtera brumata
Operophtera brumata, chenille de Cheimatobie hiémale
Operophtera brumata, la Cheimatobie hiémale
Operophtera brumata, chenille de la Chématobie hiémale
Bibliographie Cheimatobie hiémale